PRIČA OBIŠLA SVIJET / Ljubav jača od oluje: Mladenci izrekli sudbonosno 'da' na vrhu zaleđene planine
'NAJGORE ŠTO SMO DOŽIVJELI' / Poharao ih je siloviti tajfun: Dvoje djece izgubilo život, pronađena tijela još tri osobe
STRAVIČNI PRIZORI / Razorna Melissa poharala Karibe: Iza sebe ostavila poplave, štetu i najmanje 25 žrtava
'BIT ĆE TEŠKA NOĆ' / Melissa ih poharala, pogledajte što je ostalo od Jamajke: Širi se strah u idućoj 'meti'
RUŠI SVE PRED SOBOM / Može li se Melissa mjeriti s Katrinom? Hrvatska lovkinja na oluje: 'Muka mi je u želucu...'
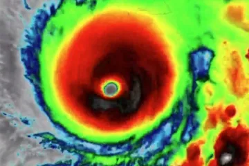
'OLUJA SVIH OLUJA' / Vjetrovi od 300 kilometara na sat poharali Jamajku: Pogledajte posljedice razorne Melisse
UBOJITA MELISSA / Oluja stoljeća ide dalje, ali mnogi se više boje pljački nego čudovišta ako odu u skloništa
JURI PREMA JAMAJCI / Melissa već uzela tri života: 'Uz sve probleme koje imamo, ako dođe - umrijet ćemo'
Preokret / Ne žele izazivat vraga! Utakmica Feyenoorda protiv Panathinaikosa ranije zbog opasnog vremena
OLUJA AMY / Snažno nevrijeme hara Europom: Poginula najmanje jedna osoba, stotine tisuća ostalo bez struje
AMY POHARALA IRSKOM / Oluja čupala stabla i zatvorila škole: Jedna osoba poginula, skoro 200 tisuća kućanstva ostalo bez struje
TUČA, BUJICE I KLIZIŠTA / Monstruozna oluja pogodila Grčku, a najgore tek dolazi? Spremaju se na pakao
TOTALNI KAOS / Snijeg paralizirao hrvatsko susjedstvo: Palo i 40 cm, ljudi se probijaju do kuća terencima
PLES DVA URAGANA / Ovo nije viđeno više od 60 godina: Snažna oluja juri prema Europi! Dosezat će 12 metara?!
OBOJANE CRVENOM BOJOM / Uragan 'Gabrielle' juri prema Europi: S vjetrovima od 200 km/h prijeti ovim zemljama
RTG SRIJEDOM / Od oluje u Dalmaciji i Hong Kongu do nove sezone Baywatcha: Ovo je Direktov pregled dana
STRAŠNI PRIZORI / Pogodila ih je žestoka oluja: Voda srušila most, izlilo se jezero, dvije osobe izgubile život
OLUJA GODINE / Približava im se 'katastrofalna' pojava: Ugroženi životi, zatvaraju škole, otkazuju letove
ČUPALO STABLA I KROVOVE / Nevrijeme potopilo Novo Mesto: Formira se nova superćelija koja ide prema susjedima
PATITE LI OD ASTRAFOBIJE? / Narušava kvalitetu života: Ovaj strah često se smatra dječjim, ali nevremena se boje i odrasli
NEVRIJEME KUCA NA VRATA / Tijekom grmljavine neke aktivnosti treba izbjegavati: Ove 23 mjere spašavaju živote
STIŽE OVE ZIME / Zanimljivo kako je razorna oluja dobila svoje ime: 'Moj voljeni muž toliko jako hrče...'
STRAŠNA OLUJA / Nevrijeme poharalo susjede, sada ide prema nama: Za ove regije izdano je crveno upozorenje
TOTALNI KAOS / Pogledajte kako je izgledala zastrašujuća pješčana oluja: 'Ovako izgleda smak svijeta'
ANTONIO, LUKO I ASMIR / Hrabri trojac bez oklijevanja ušao u olujno more i spasio turiste kraj Dubrovnika
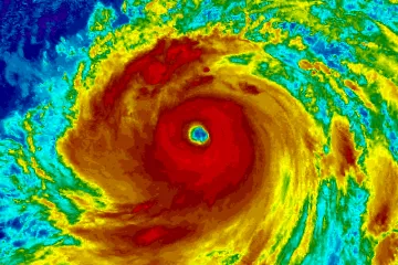
VJETROVI DO 260 KM/H / Monstrum nad Atlantikom: Ovo je oko uragana Erin koji bi valove mogao podignuti na 30 metara
7. KOLOVOZ 1995. / Karlovčani se prisjećaju kraja Oluje i oslobođenje grada: 'Svi su osjetili trenutak...'
'USPOMENE NAVIRU I DANAS...' / Prošlo je 30 godina od prestanka opće opasnosti u Karlovcu: 'Osjećao sam se kao Spartanac'
VOLI PIERCINGE / Kao slatkica pjevala na mimohodu, postala crnka s tetovažama: Sve promjene Mie Negovetić
SMIJENJENI PREDSJEDNIK / Dodik se obrušio na 'Oluju': 'Ne može Europa graditi mir ako slavi etničko čišćenje'
ZAISKRILO NA MREŽAMA / Picula objavio sliku sebe s puškom pa razbijesnio Srbe: Nižu se negativni komentari
30 GODINA PONOSA / Zoran o trenutku ulaska u oslobođenu Petrinju: 'Bilo je vrijeme da se crta podvuče'
VAŽNA OBLJETNICA / Znaju li turisti što se danas slavi u Hrvatskoj? Pogledajte kako su nam čestitali Slovenci
LJETNI ĐIR / Jarunske plaže pune, a miris roštilja je u zraku: Evo kako Zagrepčani uživaju u slobodnom danu
DUBROVČANIN DAMIR RAGUŽ / Nosili 30 kg opreme, pili vodu iz lokve, jeli što su našli: 'Zavezali marame, stavili boje na lice i pravac - Gračac'
RAZGOVARAO S PLENKOVIĆEM / Zelenski čestitao Dan pobjede svim Hrvatima: 'Razumijemo više nego itko drugi'
'SVEČANOST JE SNIMANA' / Skejo postrojio suborce i zaurlao 'Za dom...', policija nam otkrila što će napraviti
'PRESRETNA SAM' / Tko je djevojka koja je glasom očarala Knin? Otpjevala 'Dajem ti srce' i oduševila publiku
'TRENUTAK JEDINSTVA' / Hrvati diljem Australije slave Oluju: 'Naša djeca moraju znati gdje sežu korijeni'