Registracija
Ako imaš Voyo pretplatu, registriraj se istim e-mailom i čitaj net.hr bez oglasa! Saznaj više
Toggle password visibility
Toggle password visibility
Već imaš račun?
Obnovi lozinku
OLUJA GODINE /

Približava im se 'katastrofalna' pojava: Ugroženi životi, zatvaraju škole, otkazuju letove

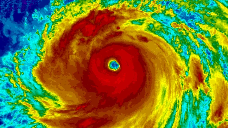
Ragasa, supertajfun ekvivalentan uraganu pete kategorije, donosi 'visok rizik po život opasnog olujnog udara'

403 Forbidden

403 Forbidden


nginx
403 Forbidden

403 Forbidden


nginx

Tisuće ljudi evakuirane su na Filipinima, u Hong Kongu, Tajvanu i dijelu Kine u strahu od supertajfuna Ragasa, najjače oluje ove godine, koju su regionalne vlasti opisale kao potencijalno "katastrofalan". 

Predviđa se da će tajfun s udarima vjetra od 230 kilometara na sat u ponedjeljak udariti rijetko naseljene sjeverne otoke, a onda krenuti na zapad prema južnoj Kini. 

Očekuje se da će deseci milijuna biti pogođeni olujom. U ponedjeljak ujutro oluja se nalazila nešto više od 1000 kilometara istočno-jugoistočno od Hong Honga. 

Ragasa, supertajfun ekvivalentan uraganu pete kategorije, donosi "visok rizik po život opasnog olujnog udara". Škole i vladini uredi su u većini zemlje zatvoreni, a vlasti su upozorile na moguće poplave i klizišta, prenosi BBC. 

Udaljeni otoci Batanes ili Babuyan, gdje se predviđa da će Ragasa udariti na kopnu, broje oko 20.000 stanovnika, od kojih mnogi žive u siromaštvu.

Razorni udari i obilne kiše

Otoci se nalaze oko 740 km od Tajvana. Iako se ne očekuje da će Ragasa izravno pogoditi tu zemlju, vjeruje se da će preplaviti njegovu istočnu obalu obilnim kišama. 

Čak i ako ne udari izravno na Filipine, vanjski pojasevi Ragasa će izazvati strašne kiše i razorne udare vjetra od preko 315 kilometara na sat.

"Kuće i imovina mogu se obnoviti, ali izgubljeni životi nikada se ne mogu nadoknaditi“, kazali su iz Filipinske uprave za atmosferska, geofizička i astronomska pitanja (PAGASA), pozivajući stanovnike da poslušaju upozorenja o evakuaciji.

Šumska područja i prirodne staze diljem južnog i istočnog Tajvana zatvorene su od ranog ponedjeljka, a obustavljene su i neke trajektne linije.

Vlasti u kineskoj provinciji Guangdong savjetovale su stanovnicima da se pripreme za "katastrofalnu nesreću velikih razmjera".

Zračna luka Hong Kong navodno planira obustaviti sve putničke letove na 36 sati zbog približavanja tajfuna u utorak navečer po lokalnom vremenu, izvijestio je Bloomberg News pozivajući se na izvore. 

POGLEDAJTE VIDEO: Pogledajte kako je izgledala oluja u pustinji Nevada: 'Ovako izgleda smak svijeta'

403 Forbidden

403 Forbidden


nginx
Pročitaj i ovo
403 Forbidden

403 Forbidden


nginx
403 Forbidden

403 Forbidden


nginx
Regionalni portali
403 Forbidden

403 Forbidden


nginx