'OVO JE FASCINANTNO' / Nevjerojatno otkriće znanstvenika: U budućnosti će muški parovi moći imati djecu?
rođeni miševi / Veliki uspjeh znanstvenika. Moguće da bi u budućnosti muški parovi mogli imati djecu?
ZNATE LI ŠTO OVO ZNAČI? / Prvi kompletan pogled na naš DNK: 'Napokon imamo čitavi ljudski genom, liječenje više nikad neće biti isto!'
KAKVO OTKRIĆE! / Hrvatski znanstvenici u dubinama svemira otkrili fenomen za koji se mislilo da ne postoji! Sve bi se moglo promijeniti...
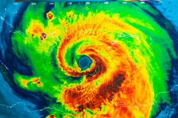
ZNANSTVENICI VAN SEBE NAKON OTKRIĆA NOVOG FENOMENA: / Prijete nam i 'stormquakes' - olujni potresi. Evo koliko su opasni
VELIKO OTKRIĆE HRVATSKOG ZNANSTVENIKA: / 'Otkrili smo molekule koje se mogu koristiti za terapiju protiv brojnih vrsta tumora'