Registracija
Ako imaš Voyo pretplatu, registriraj se istim e-mailom i čitaj net.hr bez oglasa! Saznaj više
Toggle password visibility
Toggle password visibility
Već imaš račun?
Obnovi lozinku
ZNANSTVENICI VAN SEBE NAKON OTKRIĆA NOVOG FENOMENA: /

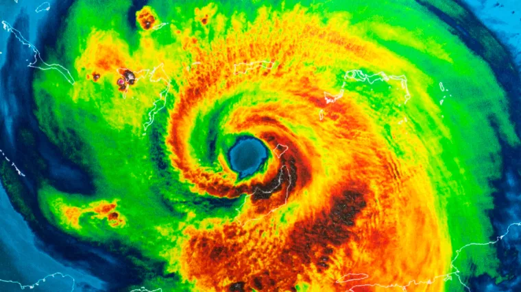
Prijete nam i 'stormquakes' - olujni potresi. Evo koliko su opasni

Uragani stvaraju podmorske valove koji udaraju u morsko dno specifičnom silom i stvaraju efekt čekića koji seizmometri bilježe kao podrhtavanje

403 Forbidden

403 Forbidden


nginx
403 Forbidden

403 Forbidden


nginx

Uragani i zemljotresi su sami po sebi opasni, no olujni potresi zvuče još gore. Upravo taj fenomen je otkrio tim znanstvenika sa Florida State Universityja pod vodstvo Wenyuana Fana, a njihovo je otkriće objavljeno u ponedjeljak u časopisu Geophysical Research Letters. No, iako zvuči grozno, olujni potresi nisu toliko opasni.

Efekt čekića

Fan objašnjava da uragani ili zimske oluje stvaraju velike valove na površini mora, koji nabujaju i stvaraju i tvore nove valove koji se kreću prema morskom dnu. Interakcija tih valova i morskog dna stvara specifičnu tlačnu silu koja na morsko dno djeluje efektom čekića. Tu pojavu redovito bilježe i seizmometri, a Fan i kolege su otkrili da se radi o malim potresima magnitude 3,5 stupnjeva.

Znanstvenici ističu kako ovaj fenomen ljudi ne mogu osjetiti, jer su seizmički pokreti mali, a zanimljivo je da je cijela pojava ranije bila okarakterizirana kao seizmička buka.

"Uvijek volim ponoviti stav da se olujni potresi događaju zbog oluja. Dakle, prva su nam briga ekstremne oluje", rekao je Fan za CNN i dodao kako bi ovaj fenomen mogao imati učinke na prirodu te na brodove, koji još dosad nisu istraženi.

Više od 1000 olujnih potresa godišnje

No, zato su on i njegove kolege istraživali ovu pojavu od 2006. do 2015. i otkrili 14.077 olujnih potresa, što je više od 1000 svake godine. No, nastanak olujnih potresa ovisi o lokaciji. Naime, proučavajući uragan Sandy, znanstvenici su otkrili kako on nije izazvao gotovo nikkvu štetu na obali, iako je bio prilično razoran na kopnu. No, uragan Bill je 2009. stvorio više od 300 olujnih potresa u svom kretanju pokraj New Jerseyja.

Stvar je u putanji uragana. Kad se ona poravna s određenim područjima na morskom dnu, olujni potresi su vjerojatniji, čak i ako je uragan slabiji. Fan kaže kako seizmološki podaci nisu korisni samo za otkrivanje potresa, već prikupljaju i posljedice vremenskih neprilika, pa čak i prometa.

403 Forbidden

403 Forbidden


nginx
Još iz rubrike
Pročitaj i ovo
403 Forbidden

403 Forbidden


nginx
403 Forbidden

403 Forbidden


nginx
Regionalni portali
403 Forbidden

403 Forbidden


nginx
Još iz rubrike